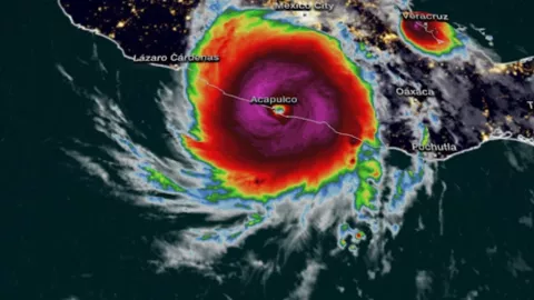
El Centro Nacional de Huracanes (CNH) de Estados Unidos actualizó su reporte sobre el huracán Otis que impactó a Acapulco el 25 de octubre del 2023, al que denominó como "el huracán que ha tocado tierra más fuerte jamás registrado en la cuenca del Pacífico oriental desde que el NHC asumió la responsabilidad operativa de la cuenca en 1988".
El CNH indica que al menos 52 personas murieron y dejó daños materiales calculados entre los 12 y 16 mil millones de dólares, es decir, más de 202 mil 549 millones de pesos.
Con estos datos, Otis se convierte en el huracán más fuerte que tocó tierra jamás registrado por el Centro Nacional de Huracanes de Estados Unidos.
Asimismo, se vuelve el meteoro más costoso jamás registrado para México, y en general de los desastres naturales en la historia del país.
NOTA RELACIONADA: Saqueo en Acapulco fue un robo y una fiesta
Centro Nacional de Huracanes señala errores en pronóstico
De acuerdo con el CNH, "los errores de pronóstico de trayectoria oficial fueron mucho mayores que los errores oficiales medios para el período de 5 años anterior en todos los plazos de pronóstico", indicó en su informe publicado este jueves 7 de marzo.
La institución estadounidense explicó que, al principio, durante el desarrollo del huracán, hubo una gran diferencia en la guía de seguimiento que contribuyó a los errores de seguimiento superiores al promedio.
“El pronóstico del modelo GFS para Otis mostró un ciclón débil que permanecía incrustado en la vaguada monzónica del Pacífico oriental y serpenteaba mar adentro sin tocar tierra en México. Como resultado, el GFS y los modelos regionales de huracanes relacionados, como HAFS-A y HAFS-B, tuvieron algunos de los errores de seguimiento más grandes para Otis", señala el reporte del CNH.
Proponen categoría 6 para huracanes; Otis pudo ser el primero
Las proyecciones iniciales del huracán Otis auguraban que en su apogeo sería una tormenta tropical. Sin embargo, Otis experimentó una intensificación rápida, y alcanzó velocidades máximas del viento de 270 kilómetros por hora, e hizo aparición en tierra con dicha potencia.
Según el Laboratorio Nacional Lawrence Berkeley, Estados Unidos, el calentamiento global ha aumentado significativamente las temperaturas del océano y del aire troposférico en las regiones donde se forman y propagan los huracanes, proporcionando energía térmica adicional para la intensificación de las tormentas.
Durante un análisis de datos históricos de huracanes, se encontraron cinco tormentas que se habrían clasificado como Categoría 6, todas ocurridas en los últimos nueve años.
Además, al observar el rango cada vez mayor de velocidades del viento entre las tormentas de categoría inferior, establecieron un límite superior hipotético para los huracanes categoría 5.
Los casos registrados se ubican principalmente en las costas de Asia (Filipinas), el Golfo de México y el Pacífico Mexicano.
NOTA RELACIONADA: Huracanes "Categoría 6": Científicos proponen nueva clasificación para tormentas más intensas y destructivas
Temporada de huracanes 2024
De acuerdo a la Comisión Nacional de Agua (Conagua) será a partir del 15 de mayo de 2024 cuando comience formalmente la temporada de huracanes en el océano Pacífico y el próximo 1 de junio en el Atlántico, y terminará hasta el próximo 30 de noviembre.
Uno de los apuntes que el organismo precisa es que no importa la cantidad de ciclones que la temporada pueda alcanzar, sino que su peligrosidad se basa en la intensidad de estos y la probabilidad de que toquen tierra.
Los nombres de los huracanes que se desarrollarán en el Pacífico son los siguientes:
- Aletta
- Bud
- Carlotta
- Daniel
- Emilia
- Fabio
- Gilma
- Héctor
- Ileana
- John
- Kristy
- Lane
- Miriam
- Norman
- Olivia
- Paul
- Rosa
- Sergio
- Tara
- Vicente
- Willa
- Xavier
- Yolanda
- Zeke
INFORMACIÓN COMPLETA: ¿Cuándo inicia la TEMPORADA DE HURACANES 2024 en México? Huracán Aletta será el primero del año
Para esta y más información, síguenos en nuestras redes sociales como en Facebook: Azteca Guerrero, vía Twitter: @Azteca_Gro, Instagram: @tvaztecaguerrero y TikTok: @tvaztecaguerrero
