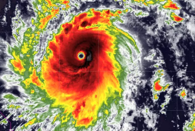
El huracán Beryl se intensificó a categoría 4 y se localiza a 3 mil 3 mil 780 km al este-sureste de Cancún, Quintana Roo; sin embargo, hasta el momento no representa peligro para el territorio mexicano, indicó el Servicio Meteorológico Nacional (SMN).
Lo anterior también fue confirmado por el Centro Nacional de Huracanes (NHC, por sus siglas en inglés). Este organismo estadounidense advirtió que “Beryl” se ha convertido en un huracán extremadamente peligroso y se prevé que llegue a las Islas de Windward la mañana de este lunes 1 de julio de 2024.
Por ello, el NHC reforzó su aviso de que el huracán es potencialmente riesgoso para la vida humana, y debe ser monitoreado en el centro y el oeste del Caribe.
El #Huracán #Beryl se intensificó hace unos minutos a categoría 4 en la escala #SaffirSimpson. Todos los detalles en el gráfico pic.twitter.com/u5LsRAoU1b
— CONAGUA Clima (@conagua_clima) June 30, 2024
¿Cuál es la trayectoria del huracán “Beryl”?
El Servicio Meteorológico Nacional (SMN) alertó que a partir de este domingo 30 de junio y hasta el 2 de julio, el huracán “Beryl” se intensifique o se mantenga a categoría 4, perdiendo fuerza el miércoles 3 de julio.
Pero, el viernes 5 de julio, a las 12:00 de la noche, se prevé que el huracán se acerque a Quintana Roo como categoría 1.
#Beryl is forming an eye 🌀 pic.twitter.com/LKdFxZC6SZ
— Zoom Earth (@zoom_earth) June 30, 2024
Huracanes en el Océano Atlántico en el 2024
Estimaciones de la Comisión Nacional del Agua (Conagua) indican que el océano Atlántico tendrá entre 11 y 12 tormentas tropicales; 5 o 6 huracanes, de los cuales alcanzarían las categorías entre 1 y 2; finalmente, se prevén entre 4 o 5 huracanes de categorías entre 3,4 y 5.
Los nombres para los huracanes en el océano Atlántico en 2024 serán:
Alberto, Beryl (actualmente en desarrollo), Chris, Debby, Ernesto, Francine, Gordon, Helene, Isaac, Joyce, Kirk, Leslie, Milton, Nadine, Oscar, Patty, Sara, Tony, Valerie, William.
Para esta y más información, síguenos en nuestras redes sociales como en Facebook: Azteca Guerrero , vía Twitter: @Azteca_Gro , Instagram: @tvaztecaguerrero y TikTok: @tvaztecaguerrero
Únete al nuevo canal de WhatsApp y mantente informado de todas las noticias que suceden cerca de ti
